Locale mostra a Torrita di Siena, via Mazzini
Immagini, Video e Virtual Tour
Descrizione lotto
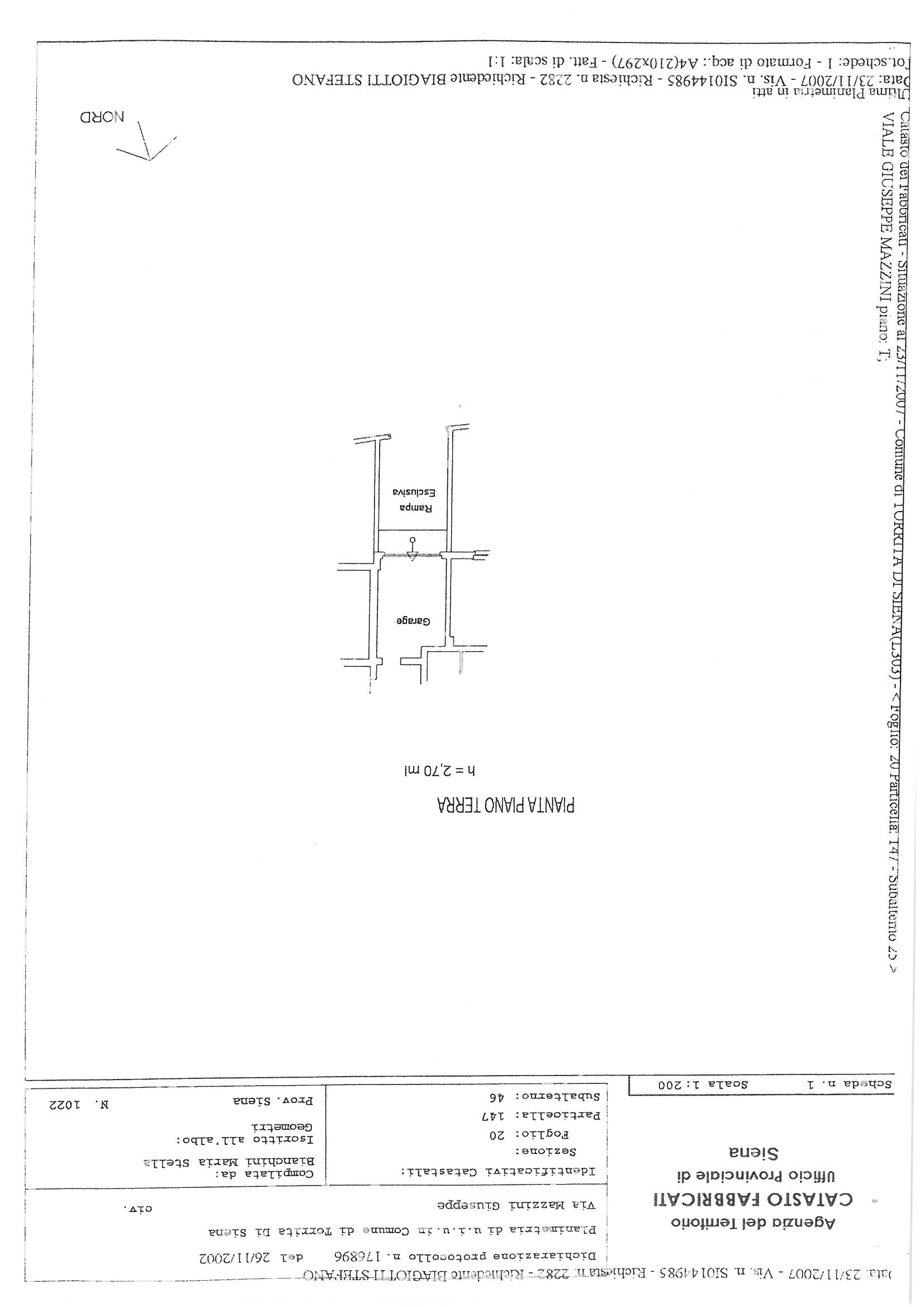
Piena proprietà di Locale destinato a mostra con garage e posto auto realizzato nel complesso immobiliare di via Mazzini individuato al Catasto Fabbricati del Comune di Torrita di Siena ai seguenti identificativi: Foglio 20 Partic. 147 sub. 18 (Locale uso mostra esposizione categoria in corso di definizione); Foglio 20 Partic. 147 sub. 30 - Cat. C/6 - Cl. 1; Foglio 20 Partic, 147 sub.46/25 Cat. C/6 Cl. 3. I locali si presentano al rustico e senza infissi; il complesso è composto da due locali oltre wc e porticato.
(questo è un estratto, per una descrizione più dettagliata e completa si invita a prendere visione della perizia o di quanto scritto sull'avviso di vendita).
| Numero Procedura | 2/2005 |
| Tipo Procedura | Fallimento |
| Numero IVG | 103/25Csi |
| Tipo vendita | Competitiva |
| Modalità vendita | Sincrona mista |
| Data vendita | 18/02/2026 10:30 |
| Termine presentazione offerte | 17/02/2026 12:00 |
| Prezzo base | € 23.000,00 |
| Rilancio Minimo | € 1.000,00 |
| Luogo Vendita | uffici Istituto Vendite Giudiziarie in Via del Pozzo n.1, Monteriggioni (SI) |
| Tribunale | Tribunale di SIENA ex Tribunale di MONTEPULCIANO |
| Stima | 48.500,00 € |
SOGGETTI
Curatore
| Nome | Giampietro Colombini |
Giudice
| Nome | Marta Dell'Unto |
DETTAGLIO LOTTO
| CODICE LOTTO | Unico |
| GENERE | Immobili |
| CATEGORIA | Immobile commerciale |
| TITOLO | Locale mostra a Torrita di Siena, via Mazzini |
2-05-Perizia-aprile-2008.pdf
2-05-plan-sub-18-30-46.pdf
2-05-perizia-aggiornamento-gennaio-2020.pdf
av_vnd_2-05-avviso-4-asta-18-02-26.pdf
DETTAGLI BENI
| INDIRIZZO | via Mazzini , 53049 Torrita di Siena ( SI ) |
| CATEGORIA | Immobili |
| TIPOLOGIA | Negozi, botteghe |
DESCRIZIONE
Piena proprietà di Locale destinato a mostra con garage e posto auto realizzato nel complesso immobiliare di via Mazzini individuato al Catasto Fabbricati del Comune di Torrita di Siena ai seguenti identificativi: Foglio 20 Partic. 147 sub. 18 (Locale uso mostra esposizione categoria in corso di definizione); Foglio 20 Partic. 147 sub. 30 - Cat. C/6 - Cl. 1; Foglio 20 Partic, 147 sub.46/25 Cat. C/6 Cl. 3. I locali si presentano al rustico e senza infissi; il complesso è composto da due locali oltre wc e porticato.
(questo è un estratto, per una descrizione più dettagliata e completa si invita a prendere visione della perizia o di quanto scritto sull'avviso di vendita).
Non ci sono modalità di partecipazione associate al lotto
Beni della stessa procedura
Storico Aste
| Data | Stato | Prezzo base | Offerta minima | Corrente |
|---|---|---|---|---|
| 12/05/2021 | Deserta | € 47.000,00 | ||
| 31/10/2024 | Deserta | € 40.000,00 | ||
| 06/03/2025 | Deserta | € 32.000,00 | ||
| 12/06/2025 | Deserta | € 26.000,00 | ||
| 18/02/2026 | In corso | € 23.000,00 | CORRENTE |
Giustizia IVG